Description
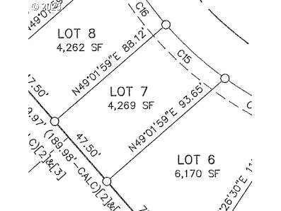
Lot 07 is 4,269 sq ft upsloping, with wetland meadows view in a Brand New 108 Lot McMinnville Subdivision. See picture of lot plat map for dimensions. Lots ranging from 4,500 sq ft to 14,000 sq ft. Bring your own Builder. McMinnville Water and Light Utilities, Oak Ridge Meadows Amenities include a Nature Path, Views of Baker Creek, Wetlands and a Neighborhood Park with play structure. Listing Agent is a Trustee of Seller.
-
0BEDS
-
N/AACRES
-
0BATHS
-
01/2 BATHS
School Information
Description
Lot 07 is 4,269 sq ft upsloping, with wetland meadows view in a Brand New 108 Lot McMinnville Subdivision. See picture of lot plat map for dimensions. Lots ranging from 4,500 sq ft to 14,000 sq ft. Bring your own Builder. McMinnville Water and Light Utilities, Oak Ridge Meadows Amenities include a Nature Path, Views of Baker Creek, Wetlands and a Neighborhood Park with play structure. Listing Agent is a Trustee of Seller.
Related Properties
Listing content is copyright © 2025 RMLS™, Portland, Oregon. The content relating to real estate for sale on this web site comes in part from the IDX program of the RMLS™ of Portland, Oregon. Real estate listings held by brokerage firms other than The Place Portland Team | Windermere Realty Trust are marked with the RMLS™ logo, and detailed information about these properties includes the names of the listing brokers. Data last updated 2025-12-15T02:47:07.577.Data deemed reliable but not guaranteed. Some properties which appear for sale on this web site may subsequently have sold or may no longer be available. IDX information is provided exclusively for consumers’ personal, non-commercial use, and may not be used for any purpose other than to identify prospective properties consumers may be interested in purchasing. All information provided is deemed reliable but is not guaranteed accurate by RMLS™ or The Place Portland Team | Windermere Realty Trust and should be independently verified.

Listing provided courtesy of Premier Homes Real Estate: 503-437-0477.